6 100 м²
Площадь
61 сот
Площадь участка

12 810 000 ₽

2 100 ₽ за м²

ID объявления 12226933

Поделиться

Добавить в избранное

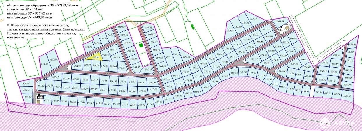
Уважаемые покупатели, инвесторы, застройщики, к вашему вниманию на продажу большой участок (квартал) в коттеджном поселке "Речной Парк". Уже сделано размежевание на мелкие участки площадью по 5 соток, все ИЖС. Участок 61 сотка, район улицы Октябрьской (стадион) рядом в паре минут пешком от въезда на «золотой остров» Земельный участок - 113 соток. К участкам уже сделаны дороги, подъездные пути из качественного материала шириной 5 метров. По границе участка есть свет (новые столбы). Подвод газа запланировано завершить полностью до конца 2025 года. Рядом в шаговой доступности находится сосновое урочище. Рядом река, чистый воздух и тишина, буквально в 15 минутах езды от города. План планировки территории согласован с администрацией. Покупка квартала будет потенциальна интересна застройщикам. Готовы обсуждать условия продажи.

Развитая инфраструктура, на машине 3-4 минуты до самого центра Новой Усмани (администрация, почта, магазины) Рядом река Усманка, и ее притока.

Все документы оформлены, в собственности более 5 лет, быстрый выход на сделку. Возможность оплаты в безналичном расчете. Юридическое сопровождение сделки.

Дата обновления: 15 ноября 2025

Участок под ИЖС